El poderoso huracán Melissa toca tierra en Jamaica como categoría 5

El poderoso huracán Melissa tocó tierra este martes en Jamaica con vientos feroces y lluvias torrenciales, convirtiéndose en la tormenta más poderosa que jamás haya golpeado la isla caribeña.
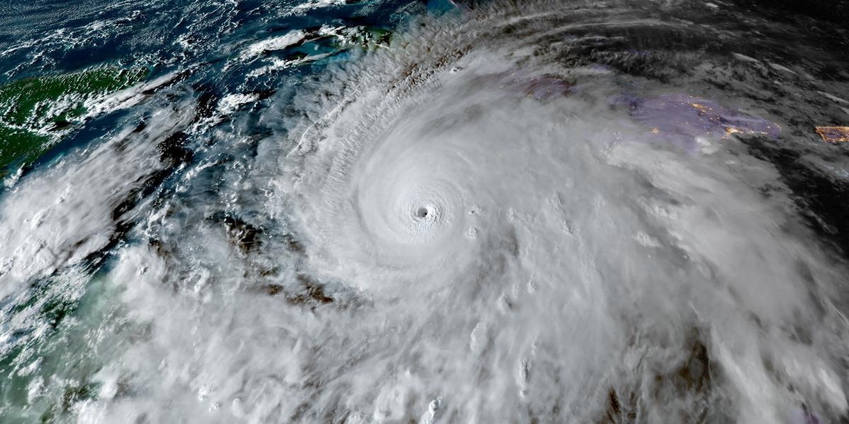
Melissa, un huracán de categoría 5 (la máxima), alcanzó el suroeste del país cerca de la ciudad de New Hope con vientos máximos sostenidos de 295 km/h, informó el centro estadounidense de huracanes (NHC).
"Ésta es una situación extremadamente peligrosa y que pone en riesgo la vida", indicó esa organización.
La isla ya lleva horas sufriendo crecidas y vientos extremos provocados por Melissa, uno de los huracanes más fuertes registrados en el Atlántico.
A pesar de acelerar un poco su desplazamiento, el huracán avanza lentamente, lo que debería aumentar el riesgo de inundaciones catastróficas y deslizamientos de tierra en Jamaica.
Su potencia supera la de algunos de los huracanes más devastadores de los últimos años, como Katrina, que arrasó la ciudad de Nueva Orleans en 2005.
Siete muertes —tres en Jamaica, tres en Haití y una en República Dominicana— ya se han atribuido al deterioro de las condiciones meteorológicas provocadas por la tormenta.
El lunes, el primer ministro jamaicano, Andrew Holness, quiso ser honesto con la población sobre las consecuencias del huracán en las zonas más golpeadas. "No creo que haya infraestructura en esta región que pueda resistir un huracán de categoría 5", declaró.
"Para Jamaica será la tormenta del siglo hasta ahora", afirmó Anne-Claire Fontan, de la Organización Meteorológica Mundial.
Poco antes del impacto, la autoridades se mostraron preocupadas porque muchos habitantes se negaban a acatar las órdenes de evacuación.
El ministro de gobierno local, Desmond McKenzie, informó el lunes por la noche que muchos de los cerca de 880 refugios de la isla seguían vacíos.
"Jamaica, este no es el momento de ser valientes", declaró McKenzie este martes. "Todavía hay una pequeña ventana de oportunidad (...) Veamos si podemos aprovecharla sabiamente", añadió.
"Manténganse a salvo, Jamaica", publicó en X el velocista olímpico Usain Bolt, una de las figuras más famosas del país.
Ishack Wilmot, que se refugió con su familia en Kingston, dijo a la AFP que por ahora estaban a salvo, pero que habían perdido el suministro de electricidad y agua durante la noche.
"Los vientos son fuertes y racheados", dijo. "Aunque estamos lejos del ojo, sigue siendo muy intenso y ruidoso".
A cámara lentaSe prevé que Melissa alcance el extremo oriental de Cuba el martes por la noche, después de azotar Jamaica.
El Consejo de Defensa Nacional declaró la "fase de alarma" en las seis provincias del este (Santiago de Cuba, Guantánamo, Holguín, Camagüey, Granma y Las Tunas).
Las autoridades empezaron a evacuar a unas 650,000 personas en estas provincias, donde la población hace acopio de víveres y trata de asegurar con cuerdas los techos de sus hogares. Las clases y actividades laborales no esenciales fueron suspendidas.
En Jamaica, la Cruz Roja, que ha distribuido agua potable y kits de higiene ante posibles interrupciones en los servicios, señaló que la "lentitud" de Melissa aumentaba la ansiedad.
"Uno esperaría que tal vez pase en cuatro horas, pero Melissa no parece ser así", dijo a la AFP una portavoz de la Cruz Roja, Esther Pinnock.
Se pronosticaba hasta un metro de lluvia, con inundaciones repentinas y deslizamientos de tierra también previstos en Haití, República Dominicana y Cuba.
Los científicos afirman que el cambio climático causado por el ser humano ha intensificado las grandes tormentas, aumentando su frecuencia.
Calentamiento globalEl meteorólogo Kerry Emanuel explicó que el calentamiento global está provocando que más tormentas se intensifiquen rápidamente, como ocurrió con Melissa, lo que eleva el riesgo de lluvias extremas.
"El agua mata a mucha más gente que el viento", dijo a la AFP.
El último gran huracán que afectó a Jamaica fue Beryl, en julio de 2024, una tormenta anormalmente fuerte para esa época del año.
"El cambio climático provocado por el ser humano está empeorando todos los aspectos más graves del huracán Melissa", señaló el científico climático Daniel Gilford.
Eleconomista






%3Aformat(jpg)%3Aquality(99)%3Awatermark(f.elconfidencial.com%2Ffile%2Fbae%2Feea%2Ffde%2Fbaeeeafde1b3229287b0c008f7602058.png%2C0%2C275%2C1)%2Ff.elconfidencial.com%2Foriginal%2F15f%2F649%2Fabd%2F15f649abd416275b857dec9112b3c908.jpg&w=1280&q=100)

